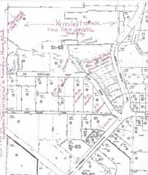
Hunt Club map – courtesy Dignan family
Hunt Club and Riding Academies
← Hunt Club and Riding Academies
Hunt Club map – courtesy Dignan family
(c) 2010-2025 GardenHomeHistory.com. Some images and text are reproduced here with permission. Images and text may be used for non-profit or educational purposes with attribution to GardenHomeHistory.com.
Contact us at gardenhomehistory@gmail.com.