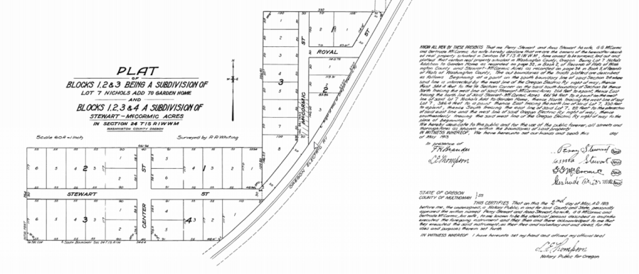
1913 Plat map for SW Stewart St
Provided by Michelle Middlebrooks
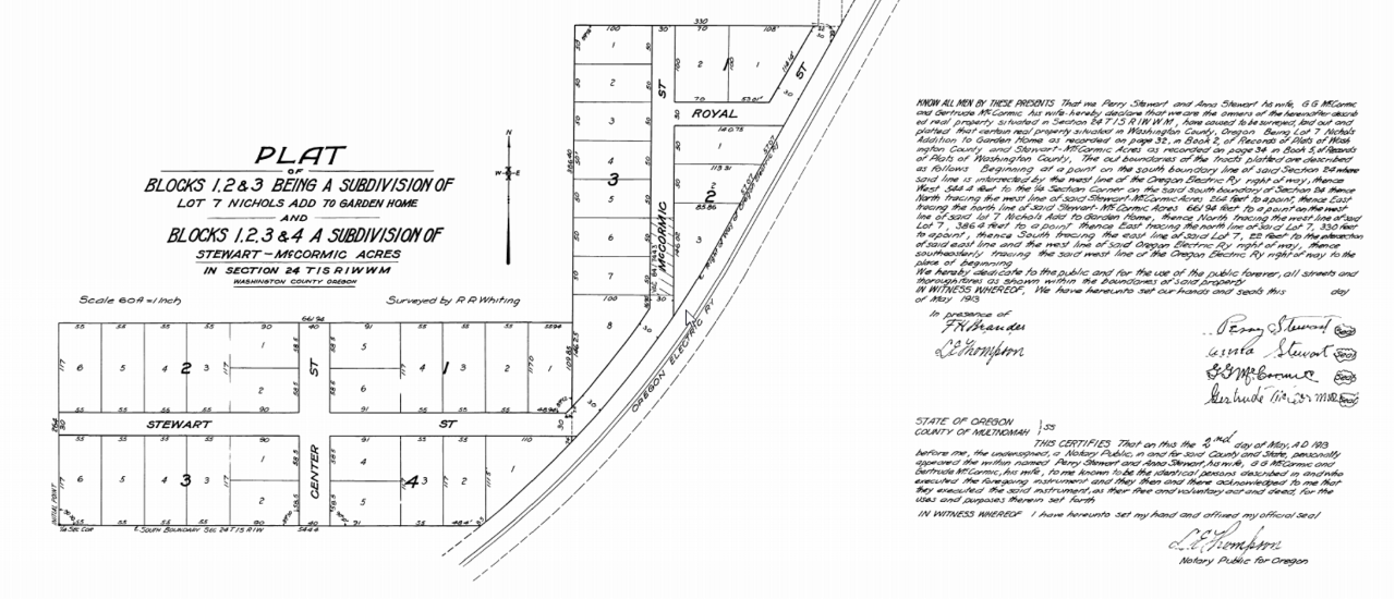
← Luke and Michelle Middlebrooks and the Oregon Electric Railroad Line
1913 Plat map for SW Stewart St
Provided by Michelle Middlebrooks
(c) 2010-2025 GardenHomeHistory.com. Some images and text are reproduced here with permission. Images and text may be used for non-profit or educational purposes with attribution to GardenHomeHistory.com.
Contact us at gardenhomehistory@gmail.com.